Louisiana sheriff to residents: ‘Write your name... and next of kin and put it in a ziploc bag in your pocket’
The Vermilion Parish Sheriff’s Office issued a mandatory evacuation and grim warning to residents choosing to ride out Hurricane Laura rather than evacuate.
The Vermilion Parish Sheriff’s Office issued a mandatory evacuation and grim warning to residents choosing to ride out Hurricane Laura rather than evacuate.
All hands on deck: Linemen, Cajun Navy volunteers prepare to assist as Hurricane Laura bears down
Hundreds of volunteers, from linemen to boat crews to chainsaw crews, were assisting local governments and first responders to prepare to provide relief in the wake of the hurricane’s destruction.
Hundreds of volunteers, from linemen to boat crews to chainsaw crews, were assisting local governments and first responders to prepare to provide relief in the wake of the hurricane’s destruction.
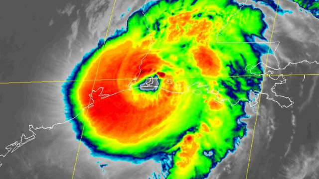
Hurricane Laura moving inland over Louisiana after making landfall as Cat 4
Hurricane Laura made landfall and brings unsurvivable storm surge with large and destructive waves that will cause catastrophic damage from Sea Rim State Park, Texas, to Intracoastal City, Louisiana.
Hurricane Laura made landfall and brings unsurvivable storm surge with large and destructive waves that will cause catastrophic damage from Sea Rim State Park, Texas, to Intracoastal City, Louisiana.
Dual disasters: Incredible satellite imagery captures Hurricane Laura, wildfires in California from space
Video from NOAA’s satellite Instagram account showed hurricane clouds and dust plumes on Aug. 25 as taken from the GOES-West satellite.
Video from NOAA’s satellite Instagram account showed hurricane clouds and dust plumes on Aug. 25 as taken from the GOES-West satellite.
Numerous buses, cars with Hurricane Laura evacuees arrive in North Texas
Some of the people evacuating from the Gulf Coast ahead of Hurricane Laura have made their way to North Texas for shelter.
Some of the people evacuating from the Gulf Coast ahead of Hurricane Laura have made their way to North Texas for shelter.
Timelapse shows Texans evacuating inland ahead of Hurricane Laura
A timelapse shows Texans evacuating ahead of Hurricane Laura.
A timelapse shows Texans evacuating ahead of Hurricane Laura.
State officials: Laura may bring 'unsurvivable' storm surge
Officials are urging people to get out of Hurricane Laura’s path before it makes landfall overnight as a potentially catastrophic Category 4 hurricane.
Officials are urging people to get out of Hurricane Laura’s path before it makes landfall overnight as a potentially catastrophic Category 4 hurricane.
Hurricane Laura forces hundreds of thousands to evacuate Gulf Coast
More than 385,000 residents were told to flee the Texas cities of Beaumont, Galveston and Port Arthur, and another 200,000 were ordered to leave low-lying Calcasieu Parish in southwestern Louisiana, where forecasters said as much as 13 feet (3.96 meters) of storm surge topped by waves could submerge whole communities.
More than 385,000 residents were told to flee the Texas cities of Beaumont, Galveston and Port Arthur, and another 200,000 were ordered to leave low-lying Calcasieu Parish in southwestern Louisiana, where forecasters said as much as 13 feet (3.96 meters) of storm surge topped by waves could submerge whole communities.
Laura expected to hit as major hurricane, Texas is 'prepared and ready'
Laura, now a hurricane, is expected to make landfall as a major hurricane.
Laura, now a hurricane, is expected to make landfall as a major hurricane.
North Texas sites prepped to host Hurricane Laura evacuees
Many people fleeing the Texas coast will head to North Texas as Hurricane Laura heads toward land.
Many people fleeing the Texas coast will head to North Texas as Hurricane Laura heads toward land.
McKinney firefighters head southeast to clean up after hurricanes
Firefighters from across North Texas are staging in South and East Texas awaiting the potential threats to the coast.
Firefighters from across North Texas are staging in South and East Texas awaiting the potential threats to the coast.
North Texas crews preparing to head to Texas coast for hurricane relief
Texas Governor Greg Abbott said dozens of state resources are being gathered and sent to the Texas coast as two tropical systems approach.
Texas Governor Greg Abbott said dozens of state resources are being gathered and sent to the Texas coast as two tropical systems approach.
Gov. Abbott issues state disaster declaration as two tropical systems approach the Texas coast
The governor also has announced that FEMA and President Trump have granted a Federal Emergency Declaration request for public assistance.
The governor also has announced that FEMA and President Trump have granted a Federal Emergency Declaration request for public assistance.
Tropical Storm Isaias lashes East Coast, bringing threat of heavy rain and tornadoes
Tropical Storm Isaias was bringing rainfall to a large section of the Northeast Tuesday, stretching from Pennsylvania to Canada.
Tropical Storm Isaias was bringing rainfall to a large section of the Northeast Tuesday, stretching from Pennsylvania to Canada.
Bahamas, Florida brace as new Hurricane Isaias bears down
Newly formed Hurricane Isaias is bearing down on the Bahamas and the U.S. East Coast.
Newly formed Hurricane Isaias is bearing down on the Bahamas and the U.S. East Coast.
Hanna has gone, but virus threat remains in South Texas
Some areas hit by Hurricane Hanna in South Texas remain among the nation's worst hot spots for the coronavirus, and the storm made getting patients to treatment difficult.
Some areas hit by Hurricane Hanna in South Texas remain among the nation's worst hot spots for the coronavirus, and the storm made getting patients to treatment difficult.
Hawaiian Islands avoid direct hit from Hurricane Douglas
Hurricane Douglas has gained some strength and begun to spin away from many of the Hawaiian Islands.
Hurricane Douglas has gained some strength and begun to spin away from many of the Hawaiian Islands.
Three rescued from sinking vehicle as Hurricane Hanna slams Corpus Christi
Two people in their 80s and a 40-year-old boat owner were rescued as the vessel sank in rough waters and 65 mph winds, officials said.
Two people in their 80s and a 40-year-old boat owner were rescued as the vessel sank in rough waters and 65 mph winds, officials said.
Hanna makes landfall as Category 1 hurricane
The National Hurricane Center says the Hanna made landfall about 15 miles north of Port Mansfield with maximum winds of 90 mph. The biggest concern is expected to be flash flooding.
The National Hurricane Center says the Hanna made landfall about 15 miles north of Port Mansfield with maximum winds of 90 mph. The biggest concern is expected to be flash flooding.
Tropical Storm Hanna forms; Gonzalo strength remains steady
A gulf depression strengthened into a tropical storm late Thursday, triggering watches and warnings along the southern coast of the continental United States.
A gulf depression strengthened into a tropical storm late Thursday, triggering watches and warnings along the southern coast of the continental United States.



















