Fall allergies will be in 'full force' this year, experts say

As summer comes to a close, millions of Americans can reportedly expect the fall allergy season to be in "full force" this year.

According to AccuWeather meteorologists, fall allergies are often triggered by ragweed and the presence of mold. 

"Fall allergies are typically triggered by ragweed, and the pollen from these types of plants that are common in North America can travel as far as the wind carries it," AccuWeather wrote. "Another cause of fall allergies is mold, which can grow in piles of damp leaves."

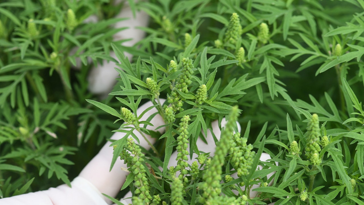
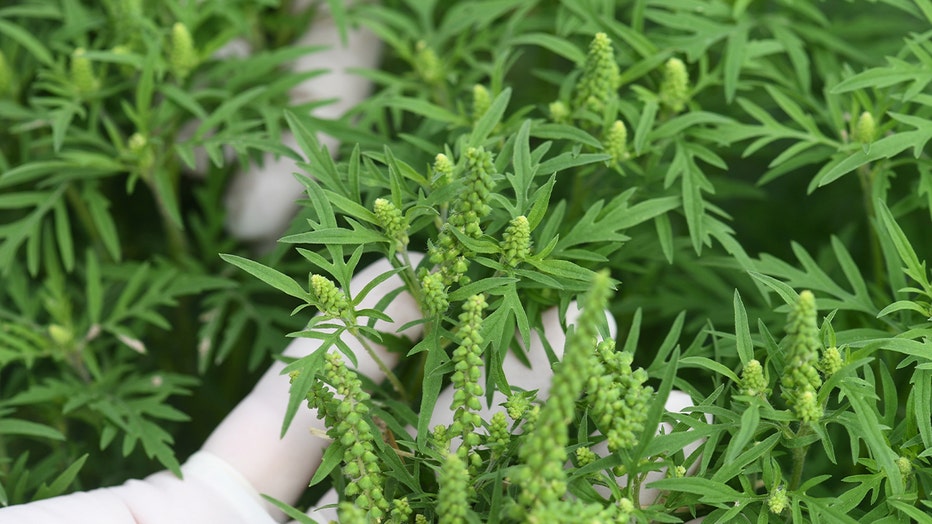
ragweed1

A common ragweed plant. (Photo by Uli Deck/picture alliance via Getty Images))

The Philadelphia Inquirer said Monday that ragweed plants are expected to produce pollen to torment residents over the next couple of weeks. 

American common ragweed (Ambrosia artemisiifolia) causes allergies.

RELATED: Biden signs law designating sesame as major food allergen, requires labeling on packaged foods

"In purely coincidental sync with the hurricane season, this is the peak period for the ragweeds," the paper wrote, noting that the impact of climate change – and drought in the West – has extended pollen season by pushing back first-frost dates.

The U.S. Centers for Disease Control and Prevention (CDC) says shifts in precipitation patterns, more frost-free days, warmer seasonal air temperatures and more carbon dioxide in the atmosphere can affect the length of pollen season, how pollen impacts human health and how much pollen plants create.

Ragweed is one of the highest pollen polluters and the primary culprit for fall season allergies. Around 23 million Americans suffer from ragweed-induced hay fever, according to the American College of Allergy, Asthma and Immunology (ACAII).

Pollen-related symptoms include sneezing, congestion, a runny nose, asthma attacks and red, watery or itchy eyes.

RELATED: Fall allergies or COVID-19? Here's the difference between symptoms

Other conditions like poor air quality – including an abundance of wildfire smoke – and the active tropical season could exacerbate conditions for both those with preexisting conditions and those without

People who suffer from pollen allergies are advised to avoid touching their eyes when they are outside, wash their hands when they go back inside, shower and change their clothes after being outside, keep windows closed, use high-efficiency filters, monitor pollen forecasts and take prescribed medication.

Doctors have also advised working with a board-certified allergist, according to Yahoo Life.

You can find the latest updates on this story on FOXNews.com.

NewsHealthU.S.